当前位置: 天津市规划和自然资源局滨海新区分局> 政务公开> 最新文件

关于滨海湖A-13地块(物业用房)建筑设计方案总平面图(调整)的公示
发布日期: 2025-03-06 13:25      来源: 市规划资源局滨海分局
字号:
  • 扫一扫在手机打开当前页

    依据《中华人民共和国城乡规划法》和住房和城乡建设部《关于城乡规划公开公示的规定》的有关要求,现将滨海湖A-13地块(物业用房)建筑设计方案总平面图进行公示。

    公示时间为202536日至2025314日,为期七个工作日。

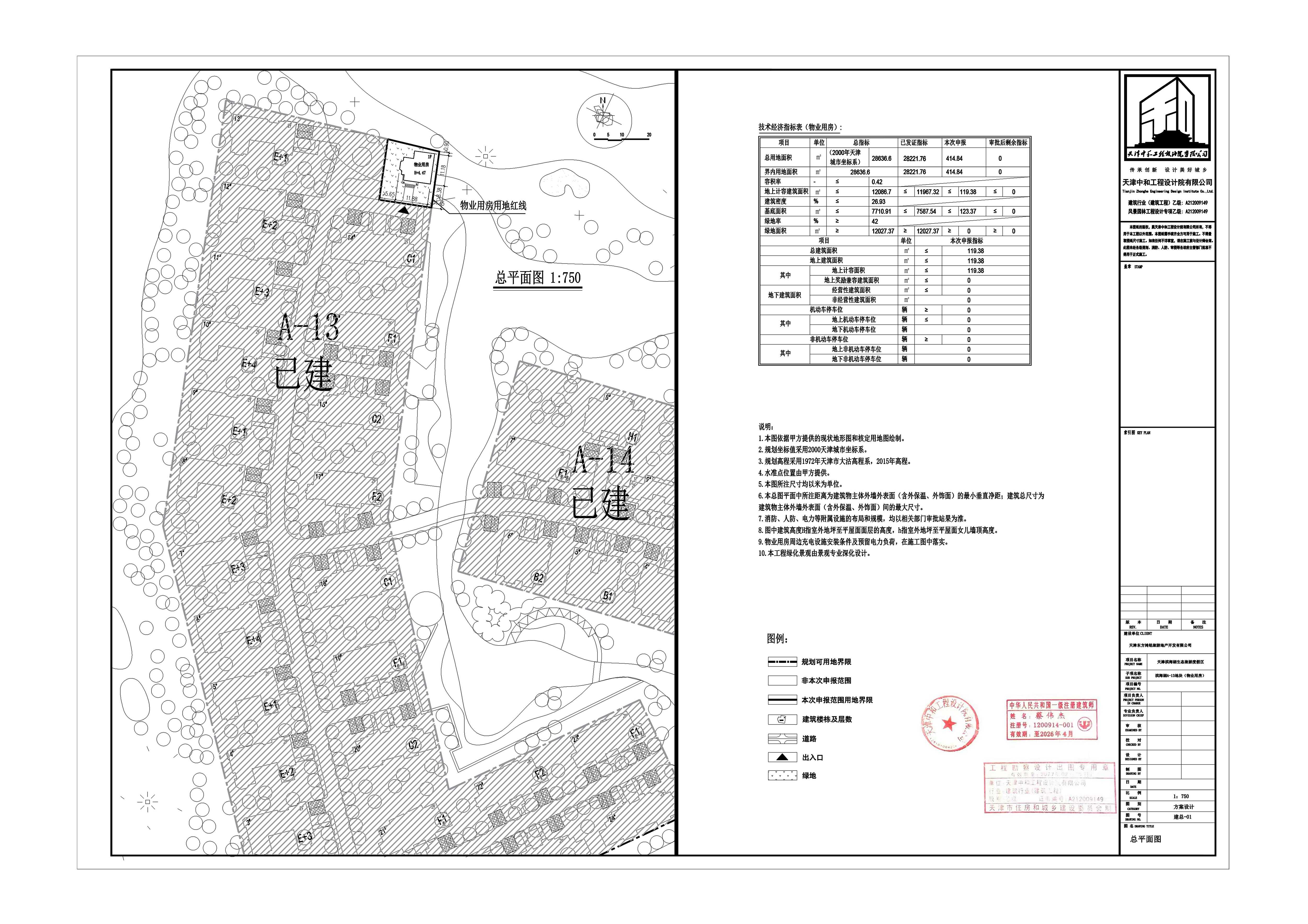
    项目名称:滨海湖A-13地块(物业用房)

    项目位置:滨海新区塘黄路

    建设单位:天津东方鸿铭旅游地产开发有限公司

    设计单位:天津中和工程设计院有限公司

    项目简介(变更说明):天津东方鸿铭旅游地产开发有限公司建设的滨海湖A-13地块(物业用房)项目为一栋物业用房建筑,原批复规划许可面积为119.38平方米。本次该物业用房北侧设计稍做了调整,并优化了原有设计,但建筑面积未有变化,仍为119.38平方米。

    公示期间,周边单位及个人如对公示内容发表意见,请以电子邮件或电话方式反馈。

    信函请寄:滨海新区于家堡融和路681号宝策大厦裙房行政许可服务中心

    邮编:300450

    联系人:张升鹏

    联系电话:022-66897974 (接听时间为 8:30—12:0013:00-17:00)

    邮 箱:gzjbhxqgs@163.com

    天津市规划和自然资源局滨海新区分局

    202536

    附图:建筑设计方案总平面图


    全国各省市政府网站
    天津市各区政府网站
    滨海新区政府系统网站
    重点链接