当前位置: 天津市规划和自然资源局滨海新区分局> 政务公开> 最新文件

关于新建滨海新区大港油田殡仪服务中心项目(一期)建筑设计方案总平面图的公示
发布日期: 2024-02-28 15:15      来源: 市规划资源局滨海分局
字号:
  • 扫一扫在手机打开当前页

    依据《中华人民共和国城乡规划法》和住房和城乡建设部《关于城乡规划公开公示的规定》的有关要求,现将新建滨海新区大港油田殡仪服务中心项目(一期)建筑设计方案总平面图进行公示。

    公示时间为20240228日至20240307日,为期七个工作日。

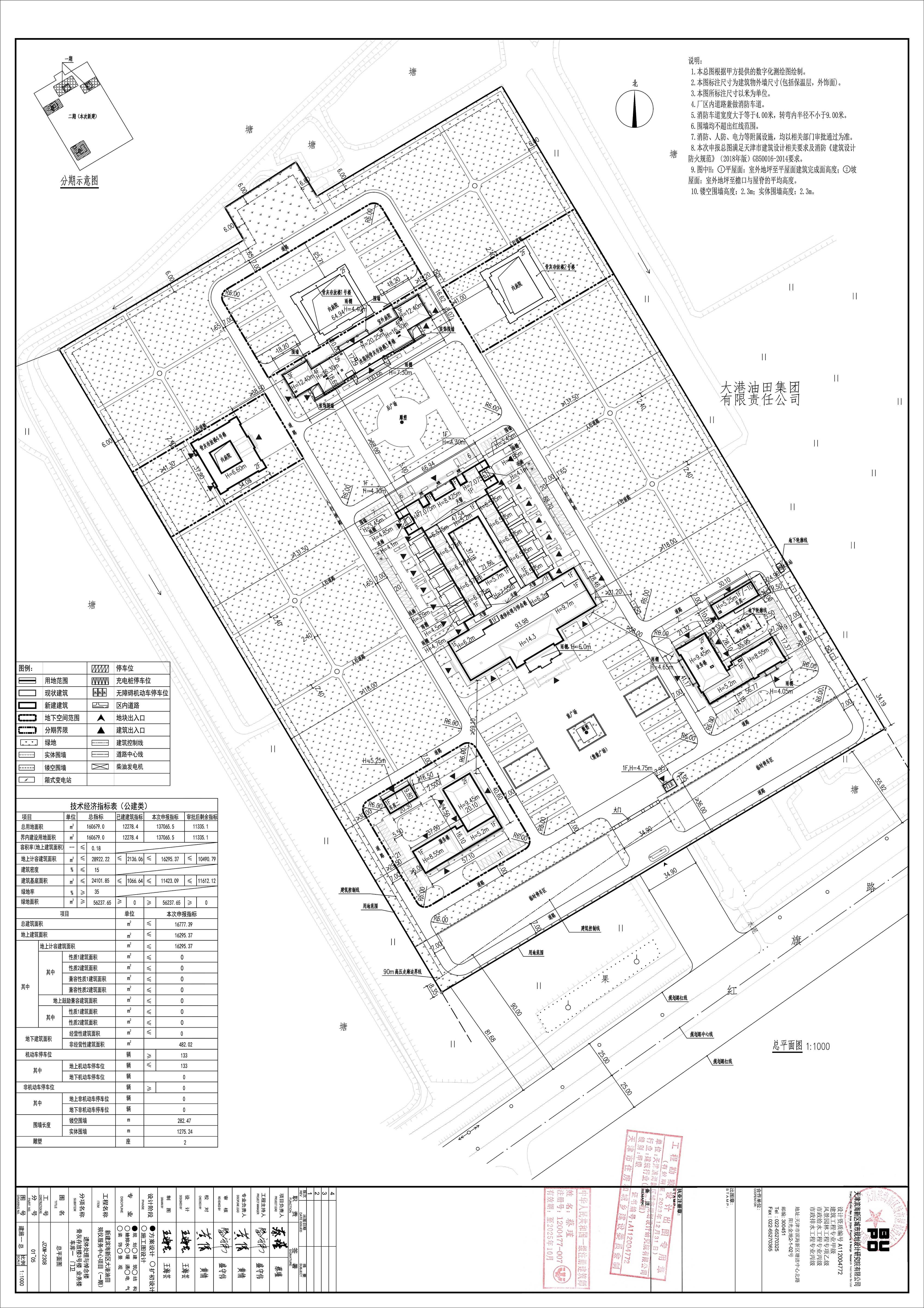
    项目名称:新建滨海新区大港油田殡仪服务中心项目(一期)

    项目位置:天津市滨海新区大港油田

    建设单位:天津市滨海新区民政事务服务中心

    设计单位:天津滨海新区城市规划设计研究院有限公司

    项目简介(变更说明):项目为新建滨海新区大港油田殡仪服务中心项目(一期),拟新建5栋建筑,总建筑面积16777.39平方米,维修2栋建筑,总建筑面积2136.06平方米。其中新建部分有1栋遗体处理与悼念楼,地上1层,建筑面积6977.99平方米,主要设置告别厅,守灵厅,遗体处理用房等功能;1栋骨灰存放楼3号楼,地上5层,建筑面积6855.78平方米,主要设置祭祀间,骨灰存放间等功能;1栋业务楼,地上2层,建筑面积2122.69平方米,主要设置业务大厅、业务接待室、沙盘展示区、餐厅、业务室、办公室、会议室等功能;1栋车库一,地上1层,地下1层,总建筑面积781.06平方米,其中地上299.04平方米,地下482.02平方米,主要设置停车库、消杀车库、工具间等功能,地下为消防泵房及消防水池;1栋门卫,地上1层,建筑面积39.87平方米。

    同时维修现状建筑包括万寿阁和万寿阁东厅,其中万寿阁为地上2层,建筑面积为1030.84平方米,万寿阁东厅为地上2层,建筑面积为1105.22平方米,主要用于骨灰存放,仅对这两栋现状建筑进行外立面外墙粉刷,修补破损室外台阶及散水,不涉及结构改动。同步对室外道路及广场进行整修设计,对室外管线进行综合设计。

    公示期间,周边单位及个人如对公示内容发表意见,请以电子邮件或电话方式反馈。

    信函请寄:滨海新区于家堡融和路681号宝策大厦裙房行政许可服务中心

    邮编:300450

    联系人:王森

    联系电话:022-66897754 (接听时间为 8:30—12:0013:00-17:00)

    邮 箱:gzjbhxqgs@163.com

    天津市规划和自然资源局滨海新区分局

    20240228

    附图:建筑设计方案总平面图


    全国各省市政府网站
    天津市各区政府网站
    滨海新区政府系统网站
    重点链接